| 価格 | 5,390万円 ![]() |
||||
|---|---|---|---|---|---|
| 所在地 | 東京都府中市日新町3丁目
この地域周辺の物件を見る |
土地面積 | 110.01m² (33.28坪) | 建物面積 | 100.94u |
| 築年月 | 2026年5月築 | 間取り | 4LDK (-) | ||
| 交通 |
京王線 中河原 徒歩19分
|
||||
電話をかける(携帯・PHS可)
042-497-5777
「ホームページを見た」とお伝え下さい。
お問い合わせ番号をお伝えください
RHS-991002060
| 特徴 |
|
|---|---|
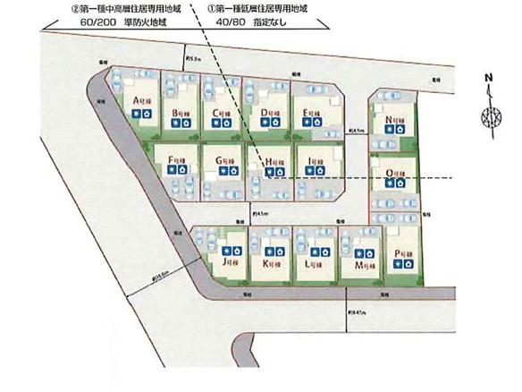
| セールスコメント | 第2種高度地区 日影規制有(3h-2h/4m)、(3h-2h/1.5m) 宅地造成工事規制区域 西部地区土地区画整理事業区域 景観法 航空法 生産緑地法 農地法 建物面積:1階車庫面積約3.53平米含 用途地域:一部第1種低層住居専用地域(建40%/容80%) 容積率:前面道路幅員制限 準防火地域 第1種高度地区 高さ10m 法第22条区域 |
| 採光面 | - | 構造/階数 | 木造/地上2階建 |
|---|---|---|---|
| 建ぺい率 | 60(%) | 容積率 | 180(%) |
| 駐車場 | 有 | 現況/引渡し | -/2026年6月上旬 |
| 土地権利 | 所有権 | 私道負担面積 | - |
| 接道状況 | 接道: 南 公道 道路幅: 4.5m | 用途地域 |
第一種中高層住居専用地域
|
| セットバック | なし | 法令上の制限 | - |
| 地目 | 田 | 地勢 | |
| 建築確認番号 | 第HPA-25-14956-1号 | 都市計画 | 市街化区域 |
| 取引態様 | 仲介 | ||
| 情報更新日 | 2026年03月17日 | 次回更新日 | 2026年03月31日 |
| 小学校区 | () |
中学校区 | () |
|---|
電話をかける(携帯・PHS可)
042-497-5777
「ホームページを見た」とお伝え下さい。
お問い合わせ番号をお伝えください
RHS-991002060
| 価格 | 万円 | ||
|---|---|---|---|
| 年利率 | % |
||
| ボーナス払い | 返済年数 | ||
| 頭金 | 直接入力する | 万円 | |

毎月のご返済額 |
ボーナス(×年2回) |
物件価格5,390万円 |
![]() |
![]() |
府中市日新町3丁目
5190万円〜5690万円 |
電話をかける(携帯・PHS可)
042-497-5777
「ホームページを見た」とお伝え下さい。
お問い合わせ番号をお伝えください
RHS-991002060
FP相談キャッシュフローの作成無料でできます